找回密码
 立即注册

QQ登录

只需一步,快速开始

微信登录,快人一步

QQ登录

只需一步,快速开始

微信登录,快人一步

绿地柏源晶舍

查看数: 5280 | 评论数: 0 | 收藏 0
关灯 | 提示:支持键盘翻页<-左 右->
    组图打开中,请稍候......
发布时间: 2021-8-3 14:05

正文摘要:

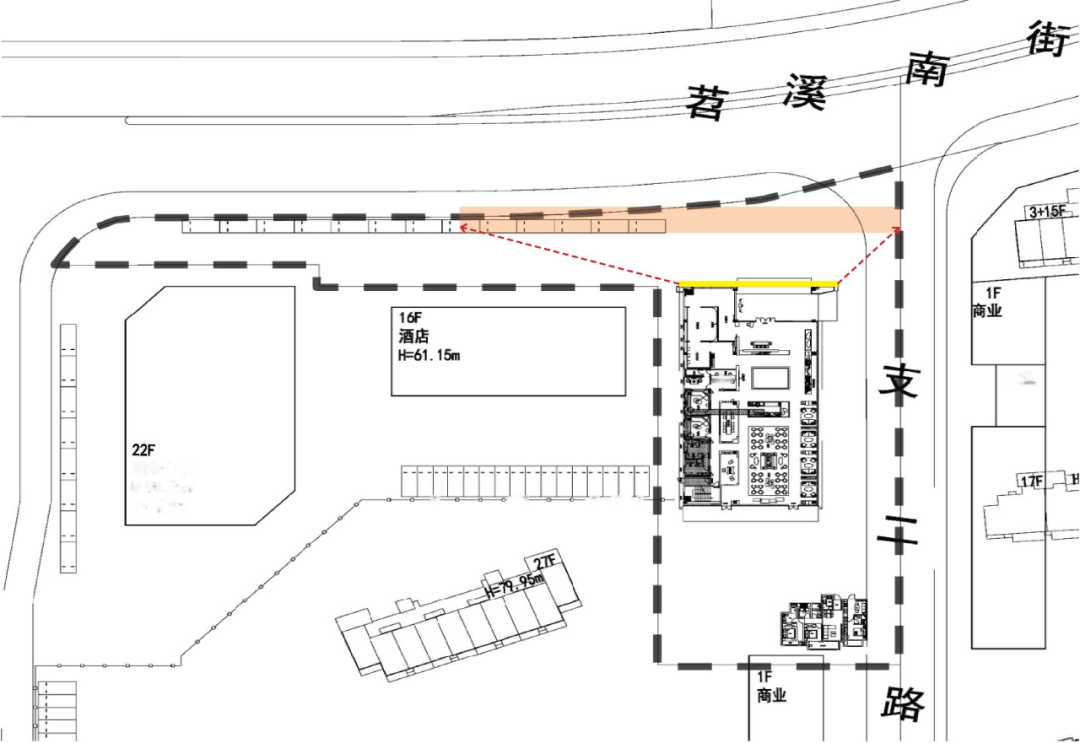
本帖最后由 hongshansheji 于 2021-8-3 14:10 编辑 思考:thinking 场地梳理 项目设计面积约3000平方米,建筑临街展示面狭小。面对项目面积小、工期短、造价低的客观条件,如何击破场地条件限制,在有限的空间内 ...

回复